ALO Dokter.. ingin berdiskusi kasus berikut.Pasien lansia, wanita 81 tahun, dengan riwayat stroke dan mobilisasi terbatas. Datang dengan keluhan nyeri perut,...
Radiologi abdomen pasien obstipasi 3 hari- ALOPALOOZA - Diskusi Dokter
general_alomedikaDiskusi Dokter
- Kembali ke komunitas
Radiologi abdomen pasien obstipasi 3 hari- ALOPALOOZA
Dibalas 09 Mei 2025, 20:18
dr.Olvy Sekarsari Octaviana
Dokter Umum
ALO Dokter.. ingin berdiskusi kasus berikut.
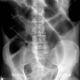
Pasien lansia, wanita 81 tahun, dengan riwayat stroke dan mobilisasi terbatas. Datang dengan keluhan nyeri perut, kembung, dan obstipasi selama 3 hari. Hasil rontgen abdomen terlampir. Menurut sejawat, apa diagnosisnya dan apa tindakan yang diperlukan ya, Dok?
Dibuat 07 Mei 2025, 13:11
08 Mei 2025, 15:37
dr. Achmad Harri Kuncoro, SpB Finacs
Dokter Spesialis Bedah
Halo dok.. izin komen..Untuk pasien dengan terbatas mobilisasi karena stroke.. ada pertimbangan terjadinya paralitik bisa karena ada masalah di otak atau terjadinya masalah d tulang belakang.. mirip mirip tidak bisa BAK karena neurogenic bladder.. ini yang tipe usus menjadi malas kontraksiMemang gambaran terlihat seperti volvulus sigmoid/cofee bean sign.. ada juga kemungkinan arah ke situ.. So baiknya d periksa langsung ke kami dokter spesialis bedah..
09 Mei 2025, 20:18
dr.Olvy Sekarsari Octaviana
Dokter Umum
Baik dok, kemungkinan paralitik juga ya. terima kasih advice nya, dok.
07 Mei 2025, 15:56
dr. ALOMEDIKA
Dokter Umum
Terima kasih dr. Olvy. Anda mendapatkan +10.000 Alomedika Point, dan tunggu pengumuman kasus radiologi terbaik di minggu ini untuk mendapatkan bonus +5.000 Alomedika Point. Silakan cek pada tanggal 13 Mei 2025.
07 Mei 2025, 15:56
dr.Elizabeth Anastasya
Dokter Umum
Kayak gambaran sigmoid volvulus ya dok..
08 Mei 2025, 12:08
dr.Olvy Sekarsari Octaviana
Dokter Umum
Benar dok, seperti sigmoid volvulus ya
07 Mei 2025, 15:58
dr. Hudiyati Agustini
Dokter Umum
Gas semua itu, ya. Apakah perlu laparotomy?